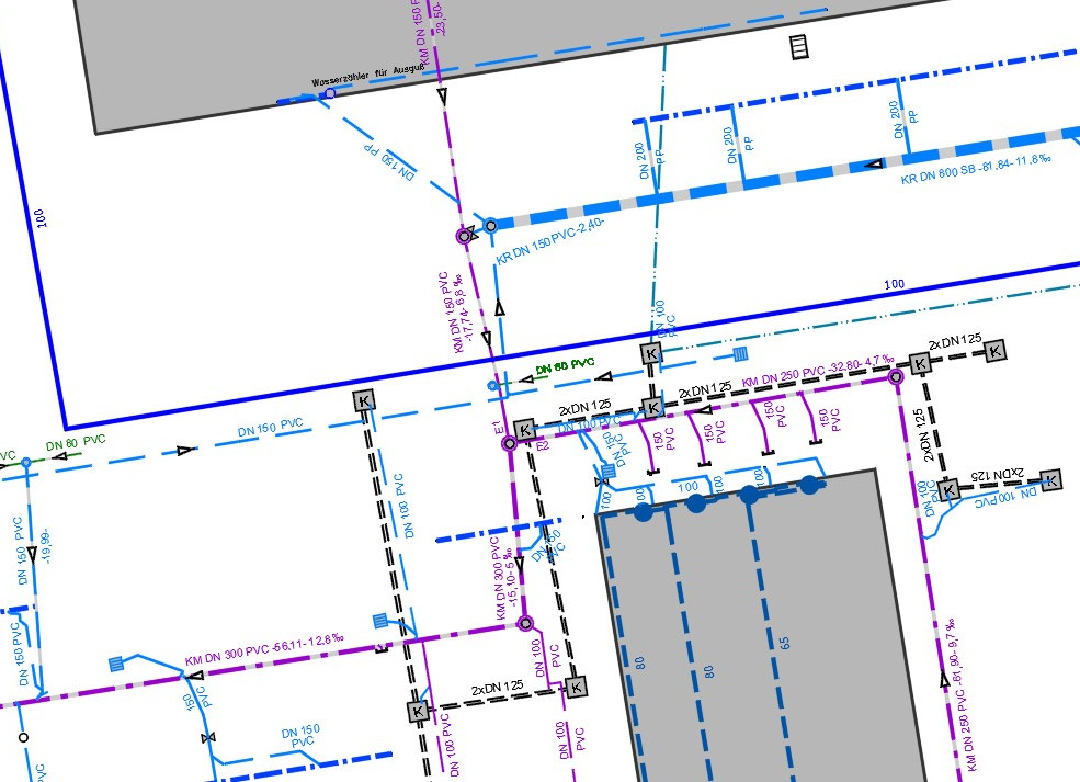
Leitungsbestand

Dokumentation der unterirdischen Bestandsleitungen der Ver- und Entsorger wie Kanal-, Wasser-, Gas-, Strom- und Medienleitungen, Leerrohre und Fern- bzw. Nahwärme. Mit diesen digitalen Daten können Geoinformationssysteme aufgebaut werden, aus welchen die unterirdischen Leitungsbestände mit Sachdaten (z.B. Durchmesser, Materialien, Alter, etc.) verknüpft werden können.

Wir stehen auch für Leitungsortungen zur Verfügung:

  • Benebelungsverfahren
  • Leitungssuchgerät
  • Georadar-Befahrung

Mit unseren Leitungsortungs-Dienstleistungen profitieren Sie von zerstörungsfreien und schnellen Messungen – ganz ohne Aufgraben. So erhöhen Sie die Planungssicherheit, da Leitungen und Hohlräume zuverlässig erkannt werden. Eine umfassende Dokumentation ist inklusive; die Auswertung erhalten Sie als Plan oder CAD-Datei und können diese sofort weiterverwenden.